Local Service Overview

Get Ant Control Service in Cresson, TX

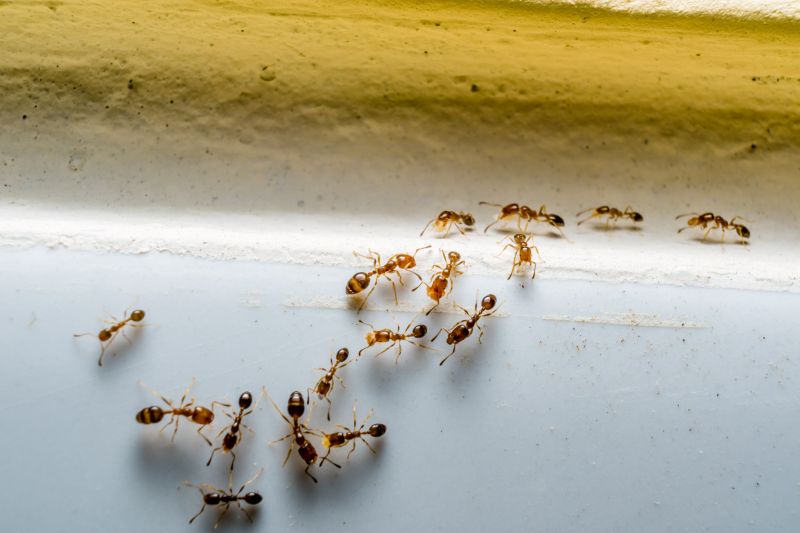
Ant control services for property owners in Cresson, TX and nearby areas address ant infestations, prevent future invasions, and handle residential and commercial ant removal projects.

Cresson, TX

Ant control services are essential for property owners in Cresson, TX seeking to maintain a comfortable and safe living environment. Effective ant management helps prevent infestations that can disrupt daily routines and compromise hygiene, making homes and commercial spaces more functional and welcoming. By addressing ant problems promptly, property owners can enjoy a more durable and pest-free space, reducing the likelihood of recurring issues that may lead to increased maintenance or damage over time.

Choosing professional ant control solutions can also enhance curb appeal by keeping outdoor areas tidy and free of unsightly ant mounds or trails. This service supports long-term property durability by preventing structural damage that can result from persistent infestations. Overall, property owners often look for reliable ant control services to promote safety, improve appearance, and ensure their spaces remain comfortable and well-maintained.

Get Ant Control Service Quotes

  • Ant Control Services - needed when ants invade homes or commercial spaces in Cresson, TX and surrounding areas.
  • Residential Ant Control - suitable for households experiencing persistent ant infestations.
  • Commercial Ant Control - essential for businesses seeking to prevent ant problems that could affect operations.
  • Outdoor Ant Control - recommended when ant colonies are located around yards, gardens, or building exteriors.
  • Emergency Ant Control - required in urgent cases where ant activity poses immediate health or safety concerns.

Get Ant Control Service Quotes

Ant Control Service
Ant Control Service
Ant Control Service

Ant control services involve the identification and removal of ant infestations within residential, commercial, or industrial properties. Service providers typically conduct thorough inspections to locate ant nests and entry points, followed by the application of targeted treatments to eliminate the colonies. These treatments may include the use of baits, sprays, or dusts designed to attract and eradicate ants at their source, preventing further invasion. The goal is to effectively reduce or eliminate ant populations, minimizing the nuisance and potential damage they can cause.

Ant problems often lead to issues such as persistent infestations, damage to wiring or insulation, and contamination of food supplies. Certain species of ants, like carpenter ants, can cause structural damage by hollowing out wood, while others may create unsanitary conditions by contaminating surfaces and food items. Service providers help address these concerns by implementing integrated pest management strategies that focus on both immediate eradication and long-term prevention, reducing the likelihood of recurring issues.

Various types of properties typically utilize ant control services, including single-family homes, apartment complexes, restaurants, and retail stores. Residential properties often seek assistance to eliminate ants that have entered kitchens, bathrooms, or other living spaces. Commercial establishments, particularly those involved in food handling or storage, require regular pest management to maintain hygiene standards and comply with health regulations. Additionally, property managers and business owners may engage ant control services to safeguard their premises from ongoing infestations that could impact operations or customer satisfaction.

Professional ant control services are tailored to the specific needs of each property, taking into account factors such as property size, construction type, and the severity of the infestation. Service providers use a combination of inspection, targeted treatments, and preventative measures to ensure comprehensive pest management. Contacting local pest control professionals can provide property owners and managers with effective solutions to manage ant problems, helping to maintain a clean, safe, and comfortable environment.

The overview below groups typical Ant Control Service projects into broad ranges so you can see how smaller, mid-sized, and larger jobs often compare in Cresson, TX.

In many markets, a large share of routine jobs stays in the lower and middle ranges, while only a smaller percentage of projects moves into the highest bands when the work is more complex or site conditions are harder than average.

Initial Treatment Costs - The cost for a one-time ant control treatment typically ranges from $100 to $300, depending on the size of the property and severity of the ant problem. For example, a small home in Cresson, TX might be closer to $100, while larger properties could be around $250 or more.

Quarterly Service Plans - Ongoing quarterly ant control services usually cost between $150 and $400 per year. This plan often includes regular inspections and treatments to prevent ant infestations throughout the year.

Per-Visit Fees - Some service providers charge per visit, with costs generally falling between $75 and $200 each time. The number of visits needed can vary based on the extent of the ant issue and property size.

Additional Treatment Expenses - Extra costs may apply for specialized treatments or if an infestation requires multiple visits, with prices often ranging from $50 to $150 per additional service. These costs depend on the severity and type of ant species involved.

Actual totals will depend on details like access to the work area, the scope of the project, and the materials selected, so use these as general starting points rather than exact figures.

Get an Ant Control Service Quote

Ant Control Services involve professionals who specialize in identifying and eliminating ant infestations in residential and commercial properties in Cresson, TX and nearby areas.

Experts in ant control can assess the extent of an infestation and recommend targeted treatment options to effectively manage ant populations.

Local ant control providers utilize various methods, including baiting and residual treatments, to ensure long-term ant management solutions.

These services often include inspection, treatment application, and advice on preventing future ant problems around the property.

Ant control professionals are equipped to handle different types of ants, such as carpenter ants, odorous house ants, and fire ants, common in the region.

Contacting local pros for ant control services can help address infestations promptly and maintain a pest-free environment.

Ant Control Service

When selecting a professional for ant control services, it’s important to consider their experience in handling pest issues similar to those faced locally. Experienced service providers often have a deeper understanding of common ant species in areas like Cresson, TX, and nearby communities, which can contribute to more effective treatment strategies. Homeowners should inquire about the provider’s background and the types of ant control services they have performed to ensure they have relevant expertise for their specific needs.

Clear communication and well-defined expectations are vital when working with a pest control professional. Reputable service providers typically outline what homeowners can expect during the treatment process, including the scope of work, methods used, and any necessary preparations. This transparency helps ensure that both parties are aligned on the service plan and can address any questions or concerns before work begins.

References and reputation are key indicators of a reliable ant control service provider. Homeowners are encouraged to seek out local pros with positive references from previous clients or a strong reputation within the community. Verifying a provider’s track record through reputable references can help confirm their ability to deliver quality services and maintain professional standards. Effective communication and a solid reputation are often signs of a dependable local service provider capable of meeting individual pest control needs.

Get an Ant Control Service Quote

Property owners in Cresson, TX use Ant Control Service services for practical projects around their homes and businesses. The sections below highlight everyday jobs and straightforward project options.

Ant Control Service
Ant Control Service

Ant control services are often sought by property owners in Cresson, TX who notice ant activity around their homes or businesses. Common situations include discovering trails of ants in kitchens, bathrooms, or outdoor areas, especially during warmer months when ants become more active. Property owners may want to prevent ants from invading living spaces or to address existing infestations that threaten comfort and hygiene.

In addition, residents and business owners might look for ant control solutions to protect gardens, landscaping, or outdoor dining areas from persistent ant problems. Ants can also pose concerns for those dealing with sweet or food residue trails, which can attract other pests or create unsanitary conditions. Connecting with local pest control providers can help address these everyday challenges effectively.

Get an Ant Control Service Quote

How do ant control services work? Ant control services typically involve inspecting the property to identify ant species and entry points, followed by targeted treatments such as baiting or applying insecticides to eliminate colonies and prevent future infestations.

Are ant control treatments safe for pets and children? Most professional ant control options are designed to be safe when applied by licensed service providers, but it is recommended to follow any specific safety instructions provided by the technician.

How long does ant control treatment last? The effectiveness duration of ant control treatments can vary depending on the method used and the extent of the infestation, with some treatments providing protection for several months.

What types of ants can be treated with professional services? Professional ant control services can address common household ants such as odorous house ants, carpenter ants, pavement ants, and other local ant species.

How can I prevent future ant infestations? Preventative measures include eliminating food and water sources, sealing entry points, and scheduling regular inspections with local pest control professionals to maintain a pest-free environment.

Ant Prevention Strategies - Local pest control providers can assess your property to identify ant entry points and nesting sites, offering tailored prevention advice.

Ant Baiting and Trapping - Professionals use targeted baiting and trapping methods to effectively reduce ant populations around residential and commercial properties.

Ant Extermination Services - Experienced contractors apply appropriate treatments to eliminate existing ant infestations and prevent future re-infestations.

Ongoing Ant Management - Service providers can establish ongoing monitoring and maintenance plans to keep ant problems under control over time.

Ant Control Service

Considering Ant Control Service for a property in Cresson, TX? The sections above highlight common project types, practical options, and details that often shape the scope of work.

When you are ready, use the quote form to share a few details about your project. Local pros can review the basics and respond with options that match what you have in mind.

Get an Ant Control Service Quote

Ant Control Quotes

Our Trusted Partners
Cantu Pest Control
Orkin
Hawx Pest Control