Local Service Overview

Get Ants Extermination Service in Cleburne, TX

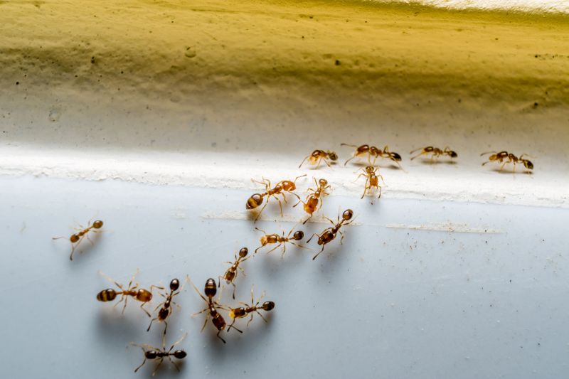
Ants extermination services for property owners in Cleburne, TX, and nearby areas address ant infestations in homes and businesses through removal and prevention projects.

Cleburne, TX

Ants extermination services in Cleburne, TX offer property owners practical solutions to maintain a comfortable and safe living environment. By addressing ant infestations promptly, property owners can reduce the risk of damage to structures, stored goods, and landscaping. Effective extermination helps ensure that homes and businesses remain functional and free from disruptions caused by unwanted pests, contributing to peace of mind and overall property value.

Choosing professional ant control services also provides benefits related to durability and curb appeal. Proper treatment minimizes the likelihood of recurring infestations, leading to reduced maintenance efforts over time. Additionally, a pest-free exterior enhances the visual appeal of a property, making it more inviting and well-maintained for residents, visitors, and potential buyers alike.

Get Ants Extermination Service Quotes

  • Ants Extermination - needed when ants invade homes or businesses in Cleburne, TX, and surrounding areas.
  • Ants Extermination - required for persistent ant infestations that disrupt daily activities in nearby communities.
  • Ants Extermination - essential when ants threaten food storage areas or contaminate household spaces.
  • Ants Extermination - necessary for preventing future ant colonies from establishing in residential or commercial properties.
  • Ants Extermination - sought after when ants become a nuisance during warmer months in Cleburne, TX, and neighboring regions.

Get Ants Extermination Service Quotes

Ants Extermination Service
Ants Extermination Service
Ants Extermination Service

Ants extermination services involve the identification and elimination of ant colonies within residential, commercial, or industrial properties. Professional service providers typically conduct thorough inspections to locate nests and determine the species involved. Treatment methods may include the application of targeted insecticides, baiting systems, and barrier treatments designed to eradicate ants at their source. These services aim to reduce ant activity, prevent future invasions, and restore the comfort and safety of indoor and outdoor spaces.

Ant infestations can cause a variety of problems for property owners. Beyond the nuisance of constant crawling and visible ant trails, some species can damage structures by nesting in walls, foundations, or insulation. Certain ants may also contaminate food supplies and create unsanitary conditions. By addressing these issues promptly, ant extermination services help mitigate property damage, minimize health risks, and improve overall hygiene in affected environments.

The types of properties that typically utilize ant extermination services include single-family homes, apartment complexes, restaurants, and retail stores. Residential properties often seek treatment to eliminate ants from kitchens, gardens, and living areas. Commercial establishments, especially food service businesses, prioritize pest control to maintain cleanliness and comply with health regulations. Additionally, warehouses and manufacturing facilities may require ongoing pest management to prevent ant populations from disrupting operations or contaminating products.

Professional ant extermination services are designed to provide effective solutions tailored to the specific needs of each property. Service providers use a variety of techniques and products suited to different environments and ant species. Regular inspections and maintenance programs can help property owners maintain ant-free spaces over time. For those experiencing persistent ant problems, contacting local pest control professionals can offer targeted, reliable assistance in managing and eliminating these pests.

The overview below groups typical Ants Extermination Service projects into broad ranges so you can see how smaller, mid-sized, and larger jobs often compare in Cleburne, TX.

In many markets, a large share of routine jobs stays in the lower and middle ranges, while only a smaller percentage of projects moves into the highest bands when the work is more complex or site conditions are harder than average.

Initial Inspection - Typically costs between $50 and $150 for a thorough assessment of ant activity and nesting sites. The fee may vary based on property size and complexity of the infestation.

One-Time Treatment - The average cost ranges from $100 to $300 for a single treatment to eliminate ants from residential properties. Larger or heavily infested areas may incur higher charges.

Recurring Service Plans - Monthly or quarterly treatments generally cost between $40 and $70 per visit, depending on the service provider and property size. These plans aim to maintain ant control over time.

Emergency or Spot Treatments - One-off spot treatments can range from $75 to $200, often used for localized infestations or urgent interventions. Prices depend on the extent of the targeted area.

Actual totals will depend on details like access to the work area, the scope of the project, and the materials selected, so use these as general starting points rather than exact figures.

Get an Ants Extermination Service Quote

Ants Extermination services connect homeowners with local pest control professionals experienced in eliminating ant infestations effectively. These experts provide tailored treatment plans to address specific ant species and infestation levels.

Residential Ants Control specialists focus on protecting homes from ant invasions, offering targeted solutions to keep living spaces pest-free. They use methods suitable for indoor and outdoor ant management.

Commercial Ants Removal services assist businesses in maintaining pest-free environments, implementing strategies that minimize disruption to daily operations. Local pros are equipped to handle large-scale ant problems in commercial properties.

Eco-friendly Ants Treatment providers offer options that reduce chemical use while effectively controlling ant populations. These services are suitable for clients seeking environmentally conscious pest management.

Ants Prevention Solutions services include inspection and advice to prevent future ant issues, helping to identify and eliminate entry points around properties. Local pros can implement ongoing prevention strategies.

Emergency Ants Extermination services are available for urgent situations requiring immediate attention to severe ant infestations. Contact local professionals promptly for rapid response options.

Ants Extermination Service

When selecting a pest control professional for ant extermination services, it is important to consider the experience of the local providers. Experienced contractors often have a deeper understanding of ant behavior and effective treatment methods, which can contribute to more efficient and thorough service. Homeowners can explore the backgrounds of local pros to see how long they have been operating in the area, as well as their familiarity with common ant species found in communities like Cleburne, TX and surrounding regions.

Clear communication and well-defined expectations are essential when working with a pest control service. Reputable local providers typically outline the scope of their services, including the methods they use, any preparations needed beforehand, and follow-up procedures if necessary. Homeowners should seek professionals who are transparent about their processes and willing to address any questions or concerns, ensuring a mutual understanding of what the service entails.

Reputable references and strong local reputation are valuable indicators of a reliable ant extermination provider. Many local pros can provide references or testimonials from previous clients, which can offer insights into their service quality and professionalism. Additionally, community reputation-such as positive reviews or endorsements from neighbors-can help homeowners identify trusted providers. Effective communication and a history of satisfied clients often reflect a contractor’s commitment to quality service and customer satisfaction.

Get an Ants Extermination Service Quote

Property owners in Cleburne, TX use Ants Extermination Service services for practical projects around their homes and businesses. The sections below highlight everyday jobs and straightforward project options.

Ants Extermination Service
Ants Extermination Service

Ants extermination services are commonly sought by property owners in Cleburne, TX, when ants become a persistent nuisance around their homes or businesses. Common situations include spotting ant trails near kitchens, bathrooms, or entry points, which can indicate an active infestation. Property owners may look for professional assistance to address these issues effectively, especially when over-the-counter solutions prove ineffective or when the infestation spreads beyond simple visible trails.

In addition, residents and business owners in Cleburne might seek ant extermination services to prevent potential damage or contamination. For example, ants can invade stored food, contaminate surfaces, or cause minor structural damage by nesting in wall voids or foundations. Engaging local pest control providers can help manage these concerns promptly and reduce the risk of larger infestations developing over time.

Get an Ants Extermination Service Quote

How do ant extermination services work? Ant extermination services typically involve inspecting the property to identify ant activity and nests, then applying targeted treatments to eliminate ants and prevent future infestations.

Are ant extermination treatments safe for pets and children? Most professional ant treatments are designed to be safe when applied properly; however, it’s recommended to discuss safety concerns with the service provider before treatment.

How long does an ant extermination treatment last? The duration of effectiveness varies depending on the treatment method and the extent of the infestation; a local service provider can offer guidance on maintenance and follow-up.

Can ant extermination services prevent future infestations? Yes, many services include preventative measures and advice to help reduce the likelihood of future ant problems.

How can I identify an ant infestation? Signs of an ant infestation include visible ants indoors or outdoors, trails, ant mounds, or damaged plants; a local pest control professional can confirm the presence of ants.

Ants Extermination Solutions - Local service providers offer targeted treatments to eliminate ant infestations and prevent future invasions.

Inspection and Identification - Professionals assess property conditions to identify ant species and determine the most effective removal methods.

Barrier Treatments - Experts apply perimeter barriers around homes to create a protective zone against ant entry.

Ongoing Monitoring and Prevention - Service providers offer advice and plans to maintain ant-free environments over time.

Ants Extermination Service

Considering Ants Extermination Service for a property in Cleburne, TX? The sections above highlight common project types, practical options, and details that often shape the scope of work.

When you are ready, use the quote form to share a few details about your project. Local pros can review the basics and respond with options that match what you have in mind.

Get an Ants Extermination Service Quote

Ants Extermination Quotes

Our Trusted Partners
Cantu Pest Control
Orkin
Hawx Pest Control