Local Service Overview

Get Black Ant Extermination in Mansfield, TX

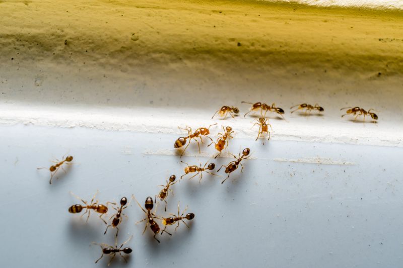
Black ant extermination services for Mansfield, TX, and nearby areas address ant infestations, prevent future invasions, and treat affected structures through targeted pest control solutions.

Mansfield, TX

Black ant extermination services are often sought after by property owners in Mansfield, TX to address persistent ant infestations that can disrupt daily life. Eliminating these pests enhances comfort by reducing the nuisance and preventing their intrusion into living and working spaces. Additionally, professional extermination can improve safety by minimizing the risk of ant-borne bacteria or allergens, creating a healthier environment for residents and visitors alike.

Beyond immediate comfort and safety, black ant extermination contributes to the overall functionality and durability of a property. Removing ant colonies helps prevent structural damage caused by their nesting habits and reduces ongoing maintenance needs. A well-treated property also benefits from improved curb appeal, as eliminating pests and their signs results in a cleaner, more inviting appearance. Contacting local pest control providers can help property owners achieve these benefits efficiently and effectively.

Get Black Ant Extermination Quotes

  • Black ant extermination services are needed when infestations are discovered in residential or commercial properties.
  • These services are appropriate for situations where ants have invaded kitchens, bathrooms, or other indoor areas.
  • Extermination may be required in cases of persistent ant colonies in yards or around building foundations.
  • Professional help is often sought when DIY methods fail to eliminate large or stubborn ant populations.
  • Ant control services are useful for preventing future invasions in neighborhoods near Mansfield, TX and surrounding areas.

Get Black Ant Extermination Quotes

Black Ant Extermination
Black Ant Extermination
Black Ant Extermination

Black ant extermination services are specialized treatments designed to eliminate and control black ant populations within residential and commercial properties. These services typically involve the application of targeted insecticides and baiting systems to identify and treat ant colonies effectively. Professional exterminators assess the extent of the infestation, locate nests, and implement strategies to reduce ant activity, helping to restore comfort and hygiene in affected spaces. The goal is to address both visible ant activity and hidden colonies that may be causing ongoing problems.

Black ants can create significant nuisance issues for property owners, especially when they invade kitchens, pantries, and other areas where food is stored. Their presence can lead to contamination of food supplies and create unsanitary conditions. In addition to food-related concerns, black ants can also damage plants and structures by nesting in wood or other building materials. Extermination services help resolve these problems by removing existing colonies and implementing preventative measures to reduce the likelihood of future infestations.

Various types of properties utilize black ant extermination services, including single-family homes, apartment complexes, restaurants, and retail establishments. Residential properties often seek these services to protect food supplies and maintain cleanliness, while commercial properties such as restaurants and grocery stores prioritize pest control to meet health and safety standards. Additionally, property managers and business owners in areas prone to ant activity may regularly schedule treatments to ensure ongoing pest management and prevent costly infestations.

Professional extermination providers use a combination of techniques tailored to the specific needs of each property. This may include perimeter treatments around the foundation, interior spot treatments, and the strategic placement of bait stations. The process aims to target the entire colony, including hidden nests that are often difficult to locate. Regular inspections and follow-up treatments are sometimes recommended to maintain control and prevent new ant colonies from establishing. Contacting local pest control specialists can help property owners address black ant issues efficiently and effectively.

The overview below groups typical Black Ant Extermination projects into broad ranges so you can see how smaller, mid-sized, and larger jobs often compare in Mansfield, TX.

In many markets, a large share of routine jobs stays in the lower and middle ranges, while only a smaller percentage of projects moves into the highest bands when the work is more complex or site conditions are harder than average.

Initial Inspection - The cost for a basic black ant extermination inspection typically ranges from $50 to $150. This fee covers identifying the extent of the infestation and determining the best treatment approach.

Treatment Services - Treatment costs generally fall between $100 and $300 per service. More extensive infestations or multiple treatments may increase the total expense.

Follow-Up Visits - Follow-up treatments or inspections can range from $50 to $200, depending on the size of the property and the severity of the ant problem.

Integrated Pest Management - Integrated approaches combining multiple methods often cost between $200 and $500 for comprehensive control over black ant populations. Costs vary based on property size and specific service requirements.

Actual totals will depend on details like access to the work area, the scope of the project, and the materials selected, so use these as general starting points rather than exact figures.

Get a Black Ant Extermination Quote

Black Ant Extermination services are essential for property owners dealing with infestations in residential or commercial spaces, helping to eliminate these pests effectively.

Local pest control providers specializing in black ant removal offer targeted treatments to address specific infestation issues in Mansfield, TX, and surrounding areas.

Professional exterminators can assess the extent of black ant activity and recommend appropriate measures to prevent future invasions.

Expert services include the use of industry-standard methods to eradicate black ants without harming the surrounding environment.

Many local providers also offer ongoing monitoring and prevention strategies to maintain ant-free properties over time.

Contacting experienced pest control pros can help ensure a thorough and safe approach to managing black ant problems.

Black Ant Extermination

When selecting a professional for Black Ant Extermination services, it is important to consider their experience in handling ant infestations. Homeowners should look for service providers with a proven track record in pest management, especially those who have successfully addressed similar issues in areas like Mansfield, TX. An experienced contractor can better understand ant behavior and effective treatment methods, which may lead to more reliable results.

Clear communication and well-defined expectations are essential when working with local pest control providers. Reputable pros typically provide detailed explanations of their treatment approaches, what homeowners can expect during and after the service, and any necessary follow-up procedures. This transparency helps ensure that homeowners are informed and comfortable with the process, reducing misunderstandings and fostering trust.

Reputable references and reviews can serve as valuable indicators of a contractor’s reliability and professionalism. Homeowners are encouraged to seek out local pros with positive feedback from previous clients, which can offer insights into their service quality and customer satisfaction. While the site introduces local options, it is recommended to contact multiple providers to compare their experience, communication style, and references before making a decision.

Get a Black Ant Extermination Quote

Property owners in Mansfield, TX use Black Ant Extermination services for practical projects around their homes and businesses. The sections below highlight everyday jobs and straightforward project options.

Black Ant Extermination
Black Ant Extermination

Black ant extermination services are often sought by property owners in Mansfield, TX, experiencing persistent ant activity around their homes or businesses. Common situations include noticing large ant colonies in lawns, kitchens, or crawl spaces, which can be difficult to manage without professional intervention. Local service providers can assess the extent of ant infestations and implement targeted treatments to help reduce populations and prevent future issues.

Property owners may also look for extermination services when ant problems begin to interfere with daily activities or compromise cleanliness standards. Whether ants are invading food storage areas or nesting in outdoor landscapes, local pros can offer solutions to eliminate colonies effectively. Regular inspections and treatments can help maintain a pest-free environment, giving residents and business owners peace of mind.

Get a Black Ant Extermination Quote

Why are black ants attracted to my home? Black ants are often drawn to food sources, water, and shelter around residential properties, leading them to invade homes in search of these resources.

How do extermination services eliminate black ants? Local pest control providers typically use targeted treatments to remove black ant colonies and establish barriers to prevent future infestations.

Are black ant infestations difficult to control? Black ant infestations can be challenging without professional assistance, as colonies may be deep-seated and require specialized treatment methods.

What steps can I take to prevent black ant problems? Keeping food stored properly, sealing entry points, and maintaining cleanliness around the home can help reduce the likelihood of black ant invasions.

How can I find local black ant extermination services? Interested individuals can contact local pest control providers to discuss treatment options and schedule services for black ant removal.

Black Ant Extermination Techniques - Local service providers can implement effective methods to eliminate black ants and prevent future infestations.

Inspection and Identification - Pros can assess property conditions to identify ant entry points and nesting sites for targeted treatment.

Preventative Treatments - Service providers offer solutions to reduce attractants and seal entry points, helping to keep black ants away.

Ongoing Maintenance Plans - Local experts can establish regular inspection and treatment schedules to manage ant populations over time.

Black Ant Extermination

Considering Black Ant Extermination for a property in Mansfield, TX? The sections above highlight common project types, practical options, and details that often shape the scope of work.

When you are ready, use the quote form to share a few details about your project. Local pros can review the basics and respond with options that match what you have in mind.

Get a Black Ant Extermination Quote

Black Ant Extermination Quotes

Our Trusted Partners
Cantu Pest Control
Orkin
Hawx Pest Control