Local Service Overview

Get Ants Extermination Service in Mansfield, TX

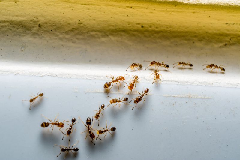
Ants extermination services for property owners in Mansfield, TX, and nearby areas address ant infestations, prevent future invasions, and manage ant-related property damage.

Mansfield, TX

Ants extermination services provide property owners in Mansfield, TX with an effective solution to manage and eliminate ant infestations. These services help maintain a comfortable living environment by preventing ants from invading homes and businesses, reducing the risk of damage to structures and stored items. By addressing ant issues promptly, property owners can enjoy a safer and more functional space, free from the nuisance and potential health concerns associated with ant colonies.

Engaging professional extermination services also offers benefits related to durability and reduced maintenance. Proper treatment methods help ensure that ant populations are effectively controlled over time, minimizing recurring problems and the need for frequent interventions. Additionally, a well-maintained exterior free of ant activity can enhance curb appeal, contributing to a more attractive property appearance and increased peace of mind for residents and visitors alike.

Get Ants Extermination Service Quotes

  • Ants Extermination - when signs of an ant infestation appear inside a home or business in Mansfield, TX and nearby areas.
  • Ants Extermination - to address persistent ant problems that disrupt comfort or sanitation in residential or commercial properties.
  • Ants Extermination - when ants are found in kitchens, pantries, or other food storage areas, indicating a need for professional treatment.
  • Ants Extermination - to eliminate colonies that threaten to spread and cause ongoing pest issues in local neighborhoods.
  • Ants Extermination - when ant activity is observed around foundations, walls, or outdoor spaces requiring targeted intervention.

Get Ants Extermination Service Quotes

Ants Extermination Service
Ants Extermination Service
Ants Extermination Service

Ants extermination services involve identifying and eliminating ant infestations within residential, commercial, or industrial properties. These services typically include thorough inspections to locate ant colonies and entry points, followed by targeted treatment applications. Professionals may use a combination of baits, sprays, and dusts to eradicate existing colonies and prevent future invasions. The goal is to reduce ant populations effectively and safely, ensuring that properties remain free from these pests.

Ant problems can cause significant nuisances, including property damage, contamination of food supplies, and general discomfort for inhabitants. Certain ant species, such as carpenter ants, are known for damaging wood structures, while others, like fire ants, pose risks through painful stings. Exterminating ants not only restores comfort but also helps prevent potential health hazards and structural issues associated with ongoing infestations. Addressing ant issues promptly can help avoid more extensive and costly repairs or health concerns in the future.

Various types of properties utilize ants extermination services, ranging from single-family homes to large commercial buildings. Residential properties often seek assistance to protect kitchens, pantries, and outdoor spaces from ant invasions. Commercial establishments, such as restaurants, offices, and retail stores, also commonly require pest control services to maintain sanitary conditions and comply with health standards. Additionally, property managers and landlords frequently engage pest control providers to manage infestations across multiple units or rental properties.

Professional ant extermination services are tailored to meet the specific needs of each property type and infestation severity. Local service providers assess the extent of the problem and recommend appropriate treatment plans that may include ongoing monitoring and prevention strategies. By working with experienced pest control specialists, property owners and managers can ensure that ant issues are addressed efficiently and effectively, helping to maintain a pest-free environment.

The overview below groups typical Ants Extermination Service projects into broad ranges so you can see how smaller, mid-sized, and larger jobs often compare in Mansfield, TX.

In many markets, a large share of routine jobs stays in the lower and middle ranges, while only a smaller percentage of projects moves into the highest bands when the work is more complex or site conditions are harder than average.

Per-Infestation Cost - Ant extermination services typically range from $150 to $300 for a single infestation. Larger or more severe infestations may cost between $300 and $600 depending on the extent of the problem.

Initial Treatment Fees - The first treatment usually costs between $100 and $250, with some providers charging around $150 for standard applications. Additional treatments or follow-up visits can increase the overall expense.

Per-Visit Charges - Many service providers charge between $75 and $200 per visit for ongoing ant control. The price varies based on the size of the property and the severity of the ant problem.

Treatment Package Pricing - Comprehensive ant control packages can range from $250 to $700, often including multiple treatments and preventative measures. Prices depend on the scope of services and property size.

Actual totals will depend on details like access to the work area, the scope of the project, and the materials selected, so use these as general starting points rather than exact figures.

Get an Ants Extermination Service Quote

Ants Extermination - Local pest control providers offer specialized services to eliminate ant infestations effectively and prevent future problems.

Ant Colony Removal - Service providers utilize targeted approaches to locate and remove ant colonies from residential and commercial properties.

Indoor Ant Control - Professionals apply treatments designed to eliminate ants inside buildings, ensuring a pest-free environment.

Outdoor Ant Prevention - Experts implement barriers and treatments to reduce ant activity around the exterior of properties in Mansfield, TX, and nearby areas.

Natural Ant Pest Control - Some providers offer eco-friendly options for controlling ant populations without harsh chemicals.

Ant Infestation Inspection - Local pros perform thorough inspections to identify ant entry points and infestation sources for targeted treatment plans.

Ants Extermination Service

When evaluating ant extermination services in Mansfield, TX, homeowners should consider the experience of local service providers. An established professional with a history of handling ant infestations can offer insights into effective treatment methods and common issues specific to the area. While experience alone doesn't guarantee quality, it often correlates with familiarity in managing different types of ant problems, ensuring that the chosen contractor understands the nuances of local pest activity.

Clear communication and well-defined expectations are essential when selecting a pest control provider. Reputable local pros typically provide detailed information about their services, including the scope of work, treatment procedures, and any necessary preparations. This transparency helps homeowners make informed decisions and sets a foundation for a smooth service experience. It’s also beneficial to seek out providers who are responsive and willing to address questions or concerns throughout the process.

Reputable references and reviews can serve as valuable indicators of a local contractor’s reliability and quality of service. Homeowners are encouraged to seek recommendations from neighbors or check online reviews to gauge customer satisfaction. While the lead-generation platform introduces local options, it does not perform the work itself. Instead, it connects homeowners with trusted service providers in the area, allowing for direct comparison of their credentials, communication style, and reputation to find the best match for ant extermination needs.

Get an Ants Extermination Service Quote

Property owners in Mansfield, TX use Ants Extermination Service services for practical projects around their homes and businesses. The sections below highlight everyday jobs and straightforward project options.

Ants Extermination Service
Ants Extermination Service

Ants extermination services are commonly sought by property owners in Mansfield, TX when ants become a nuisance indoors or outdoors. Common situations include noticing ant trails along walls, entry points near windows or doors, or an increasing presence of ants in kitchens and pantries. Property owners often look for professional assistance to effectively eliminate colonies and prevent future infestations, especially when DIY methods have proven ineffective or temporary.

Additionally, residents and business owners may request ant extermination services to address recurring problems in areas like gardens, patios, or storage spaces. The goal is to maintain a clean and pest-free environment, particularly during warmer months when ant activity tends to increase. Local service providers are available to assess the situation and recommend appropriate treatment options to manage ant issues efficiently.

Get an Ants Extermination Service Quote

How do ant extermination services work? Ant extermination services typically involve inspecting the property to identify ant activity and entry points, followed by applying targeted treatments to eliminate colonies and prevent future infestations.

Are ant treatments safe for pets and children? Most professional ant treatments are designed to be safe when applied correctly, but it is recommended to follow any specific safety instructions provided by the service provider.

How long does an ant extermination treatment last? The duration of effectiveness can vary depending on the treatment method and the severity of the infestation; local pros can provide guidance on follow-up needs.

Can ant extermination services prevent future infestations? Yes, many services include preventative measures to reduce the likelihood of future ant problems, such as sealing entry points and advising on sanitation practices.

How can I identify an ant infestation? Signs of an ant infestation include visible ant trails, small piles of dirt or debris near entry points, and finding ants inside the home or around the foundation.

Ants Extermination Techniques - Local pest control providers use various methods to eliminate ant infestations, including baiting, spraying, and barrier treatments.

Identifying Ant Problems - Professionals can assess property conditions to determine ant species and the extent of the infestation for targeted treatment.

Preventative Ant Control - Experts offer advice and services to reduce the likelihood of future ant invasions through sanitation and structural adjustments.

Emergency Ant Extermination Services - Immediate response options are available for urgent ant infestations that require quick intervention.

Ants Extermination Service

Considering Ants Extermination Service for a property in Mansfield, TX? The sections above highlight common project types, practical options, and details that often shape the scope of work.

When you are ready, use the quote form to share a few details about your project. Local pros can review the basics and respond with options that match what you have in mind.

Get an Ants Extermination Service Quote

Ants Extermination Quotes

Our Trusted Partners
Cantu Pest Control
Orkin
Hawx Pest Control