Local Service Overview

Get Black Ant Extermination in Godley, TX

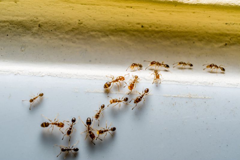
Black Ant Extermination services for property owners in Godley, TX, typically address ant infestations, prevent future invasions, and treat affected structures.

Godley, TX

Black ant extermination services are a practical solution for property owners in Godley, TX seeking to maintain a comfortable and safe environment. These services help prevent infestations that can disrupt daily living, damage structures, or contaminate food supplies. By addressing ant problems promptly, property owners can enjoy a more functional space with fewer disruptions, reducing the need for ongoing maintenance and repairs caused by persistent pests.

Engaging professional extermination providers offers benefits such as enhanced curb appeal and increased durability of building materials. Eliminating ant colonies effectively can help preserve the integrity of a property’s foundation and landscaping, while also creating a cleaner, more inviting appearance. This proactive approach supports long-term property value and overall satisfaction with the home or business environment.

Get Black Ant Extermination Quotes

  • Black ant extermination services are recommended when ants invade kitchens, bathrooms, or other indoor spaces in Godley, TX and surrounding areas.
  • Residential properties experiencing persistent ant trails or nests outdoors may require professional treatment to eliminate infestations.
  • Commercial establishments facing ant problems that disrupt operations can benefit from specialized extermination solutions.
  • Seasonal ant activity, especially during warmer months, often prompts homeowners and businesses to seek professional pest control assistance.
  • Ant infestations in yards or landscaping areas near homes and businesses may necessitate targeted extermination efforts by local service providers.

Get Black Ant Extermination Quotes

Black Ant Extermination
Black Ant Extermination
Black Ant Extermination

Black ant extermination services focus on eliminating ant infestations and preventing future invasions. These services typically involve thorough inspections to identify ant colonies and entry points within a property. Once the problem areas are located, service providers may employ targeted treatments such as baiting, dusting, or residual sprays to eradicate the ants at their source. The goal is to reduce or eliminate visible ant activity and to disrupt the colony’s ability to reproduce and expand.

Ant problems can cause significant nuisance and property damage, especially when infestations become severe. Black ants often invade kitchens, pantries, and other areas where food is stored, contaminating supplies and creating unsanitary conditions. In some cases, ants may also nest within wall voids or beneath the foundation, making it difficult to control without professional assistance. Effective extermination helps restore comfort and hygiene by removing the pests and addressing the factors that attract them.

Properties that commonly seek black ant extermination services include residential homes, especially those with gardens or outdoor spaces that provide food and shelter for ants. Commercial properties, such as restaurants, grocery stores, and food processing facilities, also frequently require pest control to maintain cleanliness and comply with health standards. Additionally, agricultural buildings and storage facilities may use these services to prevent ant-related contamination and protect stored products.

Professional extermination services often tailor their approaches based on the property type and infestation severity. For homes, treatments might focus on both interior and exterior areas to create a barrier against future entry. Commercial properties may require more comprehensive plans to meet industry standards and minimize disruption. By working with local pest control providers, property owners can address ant issues effectively, ensuring that their spaces remain pest-free and safe.

The overview below groups typical Black Ant Extermination projects into broad ranges so you can see how smaller, mid-sized, and larger jobs often compare in Godley, TX.

In many markets, a large share of routine jobs stays in the lower and middle ranges, while only a smaller percentage of projects moves into the highest bands when the work is more complex or site conditions are harder than average.

Initial Inspection and Treatment - The cost for a professional black ant inspection and treatment typically ranges from $150 to $300. Prices may vary depending on the size of the property and severity of infestation.

Per-Visit Service - Single-visit black ant extermination services generally cost between $100 and $250. Ongoing treatments or multiple visits can increase the total cost.

Quarterly or Monthly Maintenance - Regular maintenance plans to control black ants usually range from $50 to $150 per visit. The overall cost depends on the frequency and extent of treatment needed.

Additional Pest Control Services - Combining black ant treatments with other pest control services might add $100 to $400 to the total cost. The final price depends on the types of pests and the size of the affected area.

Actual totals will depend on details like access to the work area, the scope of the project, and the materials selected, so use these as general starting points rather than exact figures.

Get a Black Ant Extermination Quote

Black Ant Extermination services involve professionals who specialize in identifying and eliminating black ant colonies within residential and commercial properties in Godley, TX. These experts use targeted treatments to effectively control infestations and prevent future outbreaks.

Black Ant Extermination projects often include inspection and assessment of affected areas to determine the extent of the infestation, enabling the selection of appropriate treatment methods. Local service providers offer customized solutions tailored to specific property needs.

Black Ant Extermination services are essential for addressing infestations that can cause property damage and discomfort, with experienced contractors employing safe and effective removal techniques. These professionals focus on reducing ant populations and preventing re-infestation.

Black Ant Extermination projects may involve the application of baits, barriers, and residual treatments designed to target black ants at their entry points and nesting sites. Local pros ensure treatments are applied efficiently to minimize disruption.

Black Ant Extermination services often include follow-up assessments to monitor treatment effectiveness and recommend additional actions if necessary. Local pest control providers offer ongoing support to maintain ant-free environments.

Black Ant Extermination specialists work with property owners to develop integrated pest management plans that address current issues and reduce the likelihood of future ant problems in Godley, TX. These services aim to create long-term solutions for pest control needs.

Black Ant Extermination

When selecting a professional for Black Ant Extermination services, it’s important to consider their experience in handling ant infestations similar to the specific needs of a home. Homeowners should look for local service providers who have a proven track record in pest control, particularly with ant species prevalent in the area. Reviewing the background of these professionals can help ensure they are familiar with effective treatment methods and common challenges faced in local environments, leading to more reliable results.

Clear communication and well-defined expectations are essential when working with a pest control provider. Reputable local pros will typically provide detailed descriptions of their services, including the scope of work, procedures involved, and any preparations needed beforehand. Homeowners are encouraged to seek out providers who are transparent about their methods and willing to answer questions, fostering a better understanding of what the service entails and helping to establish trust before any work begins.

Reputable references and positive feedback from previous clients can serve as valuable indicators of a reliable pest control provider. Homeowners should consider seeking out local pros with a history of satisfied customers, as this can reflect their professionalism and effectiveness. Additionally, good communication throughout the process-such as timely responses to inquiries and clear updates-helps ensure that expectations are aligned and that the homeowner remains informed throughout the extermination process.

Get a Black Ant Extermination Quote

Property owners in Godley, TX use Black Ant Extermination services for practical projects around their homes and businesses. The sections below highlight everyday jobs and straightforward project options.

Black Ant Extermination
Black Ant Extermination

Black ant extermination services are commonly sought after by property owners in Godley, TX who are dealing with persistent ant infestations. Whether ants are invading kitchens, pantry areas, or outdoor spaces, residents often look for professional assistance to effectively eliminate these pests and prevent future problems. Property owners may choose to work with local exterminators to address immediate concerns and maintain a pest-free environment in their homes or businesses.

In addition to kitchen and living areas, property owners might seek black ant extermination services for outdoor spaces such as gardens, patios, or around the foundation of a building. Ant colonies can sometimes be hidden beneath the soil or within structural cracks, making DIY methods less effective. Local pest control providers can assess the situation and recommend targeted treatments to help keep ant populations under control and protect the property’s integrity.

Get a Black Ant Extermination Quote

Why are black ants attracted to my home? Black ants are often drawn to food sources, water, and shelter inside or around homes, making them common pests in residential areas like Godley, TX.

What are the signs of a black ant infestation? Signs include visible trails of ants, small piles of soil or debris near entry points, and tiny ant colonies found in kitchens, bathrooms, or wall voids.

How do extermination services typically eliminate black ants? Local service providers may use targeted baiting, interior and exterior treatments, and exclusion methods to remove black ants and prevent future invasions.

Are black ants dangerous to my health? While black ants are generally not harmful, they can contaminate food and surfaces, potentially spreading bacteria if they enter food preparation areas.

How can I prevent future black ant problems? Contacting local pest control pros can help identify entry points and implement exclusion strategies to keep black ants from returning.

Black Ant Extermination Methods - Local pest control providers can implement various techniques to eliminate black ants effectively, including baiting and perimeter treatments.

Identifying Black Ant Infestations - Pros can assess property signs and nesting areas to confirm black ant presence and determine the best extermination approach.

Preventative Black Ant Control - Service providers may recommend ongoing measures to reduce the risk of future black ant invasions around homes and businesses.

Black Ant Extermination Costs - Costs vary based on the extent of the infestation and treatment methods, with local pros providing tailored solutions.

Black Ant Extermination

Considering Black Ant Extermination for a property in Godley, TX? The sections above highlight common project types, practical options, and details that often shape the scope of work.

When you are ready, use the quote form to share a few details about your project. Local pros can review the basics and respond with options that match what you have in mind.

Get a Black Ant Extermination Quote

Black Ant Extermination Quotes

Our Trusted Partners
Cantu Pest Control
Orkin
Hawx Pest Control