Local Service Overview

Get Ants Extermination Service in Cresson, TX

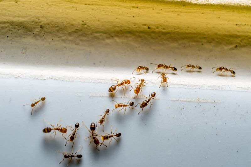
Ants extermination services for property owners in Cresson, TX, and nearby areas address ant infestations, prevent future outbreaks, and handle residential and commercial pest control projects.

Cresson, TX

Ants extermination services provide property owners in Cresson, TX with effective solutions to manage and prevent ant infestations. Addressing these pests helps maintain a comfortable and safe environment by reducing the presence of unwanted insects that can invade living or working spaces. Proper extermination can also protect the structural integrity of a property by preventing potential damage caused by ants nesting within walls, foundations, or other hidden areas.

Engaging professional ant control services can enhance the overall functionality and curb appeal of a property. Eliminating ant colonies reduces the need for ongoing maintenance and minimizes the risk of future invasions. This not only contributes to a cleaner, more attractive exterior but also supports long-term durability by safeguarding against pests that may compromise building materials or create unsanitary conditions.

Get Ants Extermination Service Quotes

  • Ants Extermination - needed when ants invade kitchens, bathrooms, or other indoor spaces in Cresson, TX and surrounding areas.
  • Ants Extermination - required for outdoor ant colonies threatening gardens or lawn areas near residential properties.
  • Ants Extermination - necessary when ant trails and nests are found inside or around commercial buildings in nearby cities.
  • Ants Extermination - sought after when ant activity persists despite basic cleaning and preventative measures.
  • Ants Extermination - important for preventing future infestations after initial ant removal efforts in neighborhoods across the region.

Get Ants Extermination Service Quotes

Ants Extermination Service
Ants Extermination Service
Ants Extermination Service

Ants extermination services involve the identification and removal of ant colonies that have invaded residential or commercial properties. Professionals typically conduct thorough inspections to determine the extent of the infestation and locate nests, which may be hidden within walls, beneath floors, or outside in landscaping. Treatment methods often include targeted applications of insecticides, baiting systems, and barriers designed to eliminate ants at their source. The goal is to reduce or eradicate ant populations, preventing further intrusion and damage.

These services address common problems associated with ant infestations, such as property damage, contamination of food supplies, and general nuisance. Certain ant species, like carpenter ants, can cause structural damage by burrowing into wood, while others, such as fire ants, pose health risks through painful stings. Effective extermination not only removes visible ants but also disrupts their colonies, helping to prevent recurring problems and ensuring a more comfortable living or working environment.

Ants extermination services are frequently utilized by property owners of various types, including single-family homes, apartment complexes, restaurants, and retail stores. Residential properties often seek these services to protect food storage areas and maintain hygiene, while commercial establishments may require ongoing pest management to meet health and safety standards. Additionally, property managers and landlords may contact professionals to address infestations promptly and maintain property value.

By working with local pest control providers, property owners can access tailored solutions that suit their specific needs and property types. These professionals utilize proven methods to control and eliminate ant populations effectively. Regular inspections and preventative treatments can also be recommended to reduce the likelihood of future infestations, helping to maintain pest-free environments across different property settings.

The overview below groups typical Ants Extermination Service projects into broad ranges so you can see how smaller, mid-sized, and larger jobs often compare in Cresson, TX.

In many markets, a large share of routine jobs stays in the lower and middle ranges, while only a smaller percentage of projects moves into the highest bands when the work is more complex or site conditions are harder than average.

Initial Inspection - The cost for an ant inspection typically ranges from $50 to $150, depending on the property size and complexity. Some providers may charge a flat fee or include it as part of the treatment service.

Standard Treatment - A typical ant extermination service can cost between $150 and $300 for a single treatment. Larger infestations or multiple visits may increase the price accordingly.

Barrier Treatments - Applying a perimeter barrier to prevent ant entry usually costs between $200 and $500. This service is often recommended for ongoing protection in residential areas.

Follow-up Services - Follow-up treatments or inspections generally range from $75 to $200, depending on the extent of re-infestation and the number of visits needed. These are usually scheduled after initial treatment to ensure effectiveness.

Actual totals will depend on details like access to the work area, the scope of the project, and the materials selected, so use these as general starting points rather than exact figures.

Get an Ants Extermination Service Quote

Ants Extermination services involve professionals who identify ant colonies and implement targeted removal strategies to eliminate infestations effectively.

Local pros offering ant extermination can assess property conditions to determine the most appropriate treatment methods for different types of ant species.

Ants extermination services may include the application of baits, sprays, or dusts designed to eradicate ants and prevent future invasions.

Experts in ant control often provide inspection services to locate entry points and nesting sites within residential or commercial properties.

Ants extermination providers can offer advice on reducing attractants and sealing entry points to help maintain a pest-free environment.

Professional ant removal services are available for both immediate eradication and long-term prevention strategies tailored to local conditions.

Ants Extermination Service

When selecting a professional for ant extermination services, experience is a key factor to consider. Local pest control providers with a history of handling ant infestations in areas like Cresson, TX, often have a deeper understanding of the common types of ants and effective treatment methods specific to the region. Reviewing a contractor’s background can provide insights into their familiarity with local pest challenges, which can contribute to more efficient and targeted solutions.

Clear communication and well-defined expectations are essential when working with an ant extermination service. Reputable providers typically offer detailed information about their treatment processes, what homeowners can expect during and after service, and any necessary follow-up steps. Ensuring that the service provider is transparent about their procedures helps homeowners make informed decisions and prepares them for the treatment experience.

Reputable references and a history of positive client feedback can serve as indicators of a reliable local pest control provider. When evaluating options, it’s helpful to seek out recommendations or reviews from previous clients in the community. Effective communication and responsiveness from the service provider also contribute to a smoother experience, ensuring that questions are addressed and concerns are managed throughout the process. This approach helps homeowners connect with trustworthy professionals capable of handling ant issues efficiently.

Get an Ants Extermination Service Quote

Property owners in Cresson, TX use Ants Extermination Service services for practical projects around their homes and businesses. The sections below highlight everyday jobs and straightforward project options.

Ants Extermination Service
Ants Extermination Service

Ants Extermination Service providers in Cresson, TX are often sought after for common household issues, such as sudden ant infestations that disrupt daily living. Property owners may notice ant trails in kitchens, bathrooms, or around outdoor areas, prompting the need for professional treatment to eliminate the pests and prevent future invasions. These services are typically requested when ant populations grow large enough to threaten comfort or hygiene, especially during warmer months when ants are more active.

Homeowners and business owners in Cresson might also seek ant extermination services to protect their property from structural damage or contamination. Ant colonies can sometimes nest in hidden areas like wall voids or beneath foundations, making professional intervention necessary for thorough removal. Engaging local experts helps address these issues effectively, ensuring that ant problems are managed promptly and efficiently, restoring a pest-free environment.

Get an Ants Extermination Service Quote

How do ant extermination services work? Ant extermination services typically involve inspecting the property, identifying ant species and entry points, and applying targeted treatments to eliminate colonies and prevent future infestations.

Are the treatments safe for pets and children? Many local pros use treatment methods designed to minimize risks to pets and children; it is recommended to discuss safety concerns with the service provider during contact.

How long does an ant extermination treatment take? The duration of treatment varies based on the extent of the infestation, but most services are completed within a few hours.

Will I need multiple visits for ant control? Some ant infestations may require follow-up visits to ensure complete eradication, depending on the severity and species involved.

What should I do before a pest control appointment? It's advised to clear the area around ant nests and entry points, and to follow any specific instructions provided by the service provider during contact.

Ants Extermination Solutions - Local pest control providers offer tailored ant removal services to address infestations effectively.

Inspection and Identification - Pros can assess property conditions to identify ant species and determine the best treatment approach.

Targeted Treatment Options - Service providers utilize various methods to eliminate ants and prevent future invasions around homes and businesses.

Preventative Strategies - Experts can advise on sealing entry points and removing attractants to reduce the likelihood of ant re-infestation.

Ants Extermination Service

Considering Ants Extermination Service for a property in Cresson, TX? The sections above highlight common project types, practical options, and details that often shape the scope of work.

When you are ready, use the quote form to share a few details about your project. Local pros can review the basics and respond with options that match what you have in mind.

Get an Ants Extermination Service Quote

Ants Extermination Quotes

Our Trusted Partners
Cantu Pest Control
Orkin
Hawx Pest Control