Local Service Overview

Get Ants Extermination Service in Azle, TX

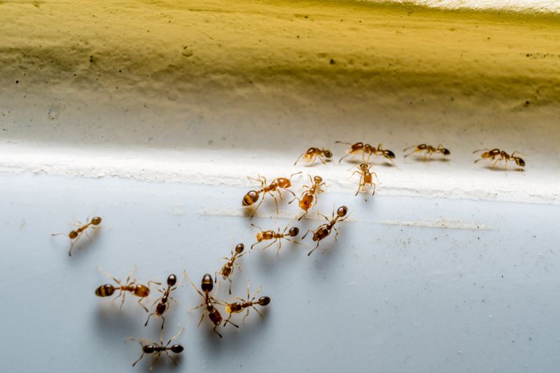
Ants extermination services for property owners in Azle, TX, and nearby areas address ant infestations, prevent future invasions, and handle residential and commercial pest control projects.

Azle, TX

Ants extermination services offer property owners in Azle, TX practical solutions to manage and prevent ant infestations. Eliminating ants helps maintain a clean and comfortable living or working environment, reducing the risk of unwanted pests disrupting daily activities. Proper pest control can also enhance the durability of structures by preventing damage caused by ant colonies, especially those that may compromise wood or electrical systems.

Choosing professional ant extermination can lead to improved curb appeal by keeping outdoor and indoor spaces free of visible pests and nests. It also contributes to a safer and more functional property, as reduced pest activity minimizes potential health concerns and the need for ongoing maintenance. Engaging experienced service providers ensures effective treatment tailored to local conditions, offering peace of mind and a more enjoyable property experience.

Get Ants Extermination Service Quotes

  • Ants Extermination - needed when ants invade kitchens or living spaces in Azle, TX and surrounding areas.
  • Ants Extermination - required for persistent ant colonies in residential or commercial properties.
  • Ants Extermination - necessary when ant trails are visible or ants are found indoors in nearby communities.
  • Ants Extermination - sought after when ants are damaging plants or outdoor structures in local yards.
  • Ants Extermination - essential for preventing ant infestations during warmer months in Azle, TX and neighboring regions.

Get Ants Extermination Service Quotes

Ants Extermination Service
Ants Extermination Service
Ants Extermination Service

Ants extermination services involve identifying and eliminating ant infestations within residential, commercial, or industrial properties. These services typically include thorough inspections to determine the extent of the problem, followed by targeted treatment methods to eradicate existing colonies. Local service providers may utilize various approaches, such as baiting systems, liquid treatments, or dust applications, to effectively control ant populations and prevent future invasions. The goal is to create an environment that is less attractive or accessible to ants, reducing the likelihood of recurring issues.

Ant infestations can lead to several problems for property owners, including structural damage, contamination of food supplies, and the spread of bacteria. Some ant species, such as carpenter ants, are known to cause damage to wood structures, which can compromise the integrity of buildings over time. Additionally, ants can be a nuisance, especially when they invade kitchens, pantries, or dining areas. Exterminating ants not only helps eliminate these immediate concerns but also contributes to maintaining a clean and hygienic living or working space.

Properties that commonly utilize ants extermination services include single-family homes, apartment complexes, restaurants, and retail stores. Residential properties often seek treatment to protect food storage areas and prevent the spread of ants within living spaces. Commercial establishments, particularly those involved in food preparation or handling, prioritize ant control to meet health and safety standards. In some cases, property managers or business owners opt for regular pest management plans to monitor and address ant activity proactively, ensuring ongoing protection against infestations.

Professional ant extermination services are tailored to the specific needs of each property type and infestation severity. Service providers conduct detailed assessments to determine the most effective treatment plan, considering factors such as the type of ant species and the layout of the property. They also advise on preventive measures to reduce the likelihood of future invasions, such as sealing entry points or removing attractants. Contacting local pest control specialists can help property owners address ant problems efficiently and maintain pest-free environments.

The overview below groups typical Ants Extermination Service projects into broad ranges so you can see how smaller, mid-sized, and larger jobs often compare in Azle, TX.

In many markets, a large share of routine jobs stays in the lower and middle ranges, while only a smaller percentage of projects moves into the highest bands when the work is more complex or site conditions are harder than average.

Initial Inspection - Typically costs between $50 and $150 for a professional assessment of ant activity and entry points. This fee may include a basic inspection of affected areas in Azle, TX, and nearby locations.

Perimeter Treatment - The average cost ranges from $150 to $300 for exterior ant control treatments. Prices depend on the size of the property and extent of infestation.

Interior Treatment - Interior ant extermination services generally cost between $100 and $250 per visit. This includes targeted application in kitchens, bathrooms, and other problem areas.

Ongoing Monitoring - Monthly or quarterly monitoring services can range from $50 to $150 per visit, depending on the service provider and property size in Azle, TX.

Actual totals will depend on details like access to the work area, the scope of the project, and the materials selected, so use these as general starting points rather than exact figures.

Get an Ants Extermination Service Quote

Ants Extermination services connect homeowners with local pest control providers experienced in eliminating ant infestations effectively.

Ants Extermination projects involve identifying ant species and applying targeted treatments to prevent future invasions in residential and commercial properties.

Ants Extermination services are suitable for addressing large colonies or persistent ant problems in homes, gardens, and outdoor spaces around Azle, TX.

Ants Extermination projects often include inspection, treatment application, and advice on reducing attractants to help maintain a pest-free environment.

Ants Extermination services are provided by local specialists skilled in handling various ant species and implementing integrated pest management strategies.

Ants Extermination efforts aim to remove existing ant populations and establish barriers to prevent future re-infestations in affected areas.

Ants Extermination Service

When comparing ant extermination services in Azle, TX, experience is a key factor to consider. Local service providers often have extensive knowledge of ant behavior and common nesting sites in the area, which can contribute to more effective treatments. It’s beneficial to review the background of each contractor to understand their familiarity with local pest issues and their approach to eradication. While the site introduces various local options, it does not perform the work itself, so evaluating the experience of individual pros through their profiles or reputation is essential.

Clear communication and well-defined expectations are important when selecting an ant extermination service. Reputable providers typically offer detailed explanations of their treatment methods, what homeowners can expect during and after the service, and any necessary follow-up steps. Ensuring that the contractor is transparent about their process helps homeowners feel confident in the service plan. The site connects users with local pros who are committed to providing thorough information, which can aid in making informed decisions aligned with specific needs.

References and reputation are valuable indicators of a contractor’s reliability and quality of service. Homeowners are encouraged to seek out local pros with established positive references or reviews from previous clients in Azle or nearby communities. Reliable providers often have a history of satisfied customers and can share testimonials or references upon request. As the site functions as a neutral lead-generation platform, it’s important to contact the local pros directly to verify their reputation and gather insights into their communication style and professionalism before proceeding with any service arrangements.

Get an Ants Extermination Service Quote

Property owners in Azle, TX use Ants Extermination Service services for practical projects around their homes and businesses. The sections below highlight everyday jobs and straightforward project options.

Ants Extermination Service
Ants Extermination Service

Ants extermination services are commonly sought by property owners in Azle, TX, facing persistent ant infestations in residential or commercial spaces. These services are often needed when ants invade kitchens, pantry areas, or outdoor patios, creating nuisance and potential health concerns. Property owners may look for professional assistance to effectively eliminate colonies, prevent future invasions, and maintain a clean, pest-free environment.

In addition to immediate removal, local property owners might seek ant extermination services to address recurring issues or prevent damage caused by ant activity. This can include protecting landscaping, foundations, and structures from ant colonies that can compromise property integrity. Connecting with experienced pest control providers can help ensure that ant problems are handled efficiently and thoroughly.

Get an Ants Extermination Service Quote

How do ant extermination services work? Ant extermination services typically involve inspecting the property, identifying ant species and entry points, and applying targeted treatments to eliminate colonies and prevent future infestations.

Are ant treatments safe for pets and children? Many ant extermination methods are designed to be safe for homes with pets and children, but it is recommended to consult with a local service provider about specific products used.

How long does an ant extermination treatment last? The duration of effectiveness varies depending on the treatment method and extent of the infestation; a local professional can provide guidance tailored to the situation.

Can ant extermination services prevent future invasions? Yes, professional services often include recommendations and treatments to reduce the likelihood of future ant problems.

How can I prepare my home for ant extermination? Homeowners are usually advised to clear clutter, store food properly, and inform the service provider of active ant areas before treatment.

Ants Inspection Services - Local pest control providers can assess your property to identify ant activity and nesting areas.

Ants Treatment Solutions - Experienced pros offer targeted treatments to eliminate ant colonies and prevent future infestations.

Prevention Strategies for Ants - Service providers can advise on sealing entry points and removing attractants to reduce ant access.

Ongoing Ants Management - Professionals can develop maintenance plans to monitor and control ant populations over time.

Ants Extermination Service

Considering Ants Extermination Service for a property in Azle, TX? The sections above highlight common project types, practical options, and details that often shape the scope of work.

When you are ready, use the quote form to share a few details about your project. Local pros can review the basics and respond with options that match what you have in mind.

Get an Ants Extermination Service Quote

Ants Extermination Quotes

Our Trusted Partners
Cantu Pest Control
Orkin
Hawx Pest Control