Local Service Overview

Get Black Ant Extermination in Keller, TX

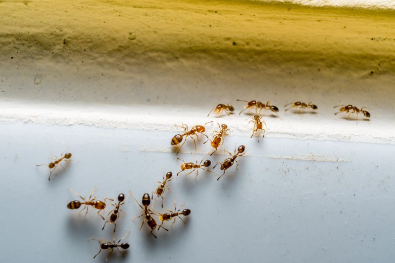
Black Ant Extermination services for Keller, TX, and nearby areas address ant infestations, nests, and ongoing pest control needs for residential and commercial properties.

Keller, TX

Black ant extermination services address common pest concerns for property owners in Keller, TX by providing effective solutions to eliminate infestations and prevent future issues. These services help maintain a comfortable living environment by reducing the presence of unwanted pests, which can cause discomfort and disrupt daily routines. Additionally, professional extermination enhances safety by controlling pests that may carry germs or cause allergic reactions, contributing to a healthier home or business setting.

Choosing expert pest control can also improve the overall appearance and functionality of a property. A pest-free environment supports curb appeal by preventing damage caused by ants to landscaping or structures. It can also lead to reduced maintenance needs, as ongoing infestations are managed proactively, helping property owners preserve the durability and integrity of their buildings over time.

Get Black Ant Extermination Quotes

  • Ant Extermination - needed when black ants invade kitchens or pantries in residential or commercial properties.
  • Outdoor Black Ant Control - required when ant colonies establish themselves around yards, gardens, or building foundations.
  • Infestation Removal - necessary during severe black ant populations that threaten to spread indoors or across large areas.
  • Preventative Treatments - used to stop black ant activity before it becomes a full-blown infestation in homes or businesses.
  • Structural Ant Barriers - implemented when black ants are attempting to enter through cracks, gaps, or entry points in buildings.

Get Black Ant Extermination Quotes

Black Ant Extermination
Black Ant Extermination
Black Ant Extermination

Black ant extermination services focus on identifying and eliminating ant colonies that invade residential and commercial properties. These services typically involve thorough inspections to locate ant nests, trails, and entry points. Exterminators may use targeted treatments such as baits, sprays, or dusts to eradicate existing colonies and prevent future infestations. The goal is to reduce ant populations effectively while minimizing disruption to the property and its occupants.

Ant problems can cause significant nuisances, especially in kitchens, pantries, and dining areas where food is stored or prepared. Beyond the annoyance, some ant species can contaminate food and surfaces, leading to hygiene concerns. In certain cases, large ant colonies can also attract other pests or cause structural damage by nesting within walls or under foundations. Professional extermination services help address these issues by removing the source of the infestation and implementing measures to prevent re-infestation.

Properties that frequently seek ant extermination services include single-family homes, apartment complexes, restaurants, and retail stores. Homes with gardens or landscaping are often more susceptible to ant invasions due to access points around doors, windows, and foundation cracks. Commercial establishments, especially those involved in food service, prioritize pest control to maintain cleanliness and comply with health standards. Regardless of the property type, professional pest control providers tailor their approaches to the specific needs and severity of each ant problem.

Partnering with local pest control providers ensures that property owners receive targeted and effective solutions for ant extermination. These professionals assess the extent of the infestation and recommend appropriate treatment plans. Regular inspections and maintenance services may also be advised to keep ant populations under control over time. Contacting experienced local pros can help property owners resolve ant issues efficiently, maintaining a pest-free environment for residents, customers, and staff.

The overview below groups typical Black Ant Extermination projects into broad ranges so you can see how smaller, mid-sized, and larger jobs often compare in Keller, TX.

In many markets, a large share of routine jobs stays in the lower and middle ranges, while only a smaller percentage of projects moves into the highest bands when the work is more complex or site conditions are harder than average.

Initial Black Ant Extermination - The cost for a one-time treatment typically ranges from $150 to $300, depending on the size of the property and infestation severity. Example costs for a standard home in Keller, TX, are around $200. Prices may vary based on the extent of the ant problem and local service providers.

Follow-Up Treatments - Follow-up visits to ensure ant colonies are eradicated usually cost between $75 and $150 per session. Many homeowners schedule multiple treatments, which can add up to $300 or more over time. The frequency and number of visits influence the total cost.

Barrier or Perimeter Treatments - Applying a barrier around a property can cost between $250 and $500. This service involves treating the exterior foundation and perimeter to prevent ant entry, with costs varying based on property size and treatment complexity. Local pros may offer customized pricing based on specific needs.

Treatment for Large Infestations - Extensive ant infestations that require specialized methods can range from $400 to $800 or more. Such cases often involve multiple visits and advanced treatments, with costs influenced by property size and infestation severity. Contact local providers for tailored estimates.

Actual totals will depend on details like access to the work area, the scope of the project, and the materials selected, so use these as general starting points rather than exact figures.

Get a Black Ant Extermination Quote

Black Ant Extermination services connect homeowners with local pest control providers experienced in eliminating black ant colonies effectively. These professionals assess infestations and implement targeted treatment plans to resolve ant problems.

Residential Pest Control providers offer comprehensive solutions for black ant issues within homes, ensuring safe and efficient removal. They customize treatments based on the severity and location of the infestation.

Commercial Pest Management services include black ant control for businesses, helping to maintain a pest-free environment in retail, office, or industrial spaces. Local pros apply methods suitable for commercial settings.

Infestation Inspection specialists conduct thorough inspections to identify black ant nests and entry points, providing detailed assessments for effective treatment strategies. Contacted professionals determine the extent of the problem accurately.

Preventative Pest Services providers assist in implementing measures to prevent future black ant invasions through barrier treatments and habitat modification. These services help maintain long-term pest control.

Emergency Pest Control services are available for urgent black ant issues, offering rapid response to severe infestations. Local pest control providers can address urgent needs promptly and efficiently.

Black Ant Extermination

When selecting a professional for black ant extermination, it’s important to consider the experience and expertise of local service providers. Homeowners should look for pros who have a proven track record in handling ant infestations, including familiarity with effective treatment methods and the ability to address the specific challenges posed by black ants. Asking about the duration of their experience in the industry and their familiarity with local pests can help ensure the chosen provider has the necessary background to manage the problem effectively.

Clear and detailed written expectations are essential when working with a pest control provider. Reputable local pros typically provide comprehensive descriptions of their services, including the scope of work, treatment procedures, and any preparations homeowners should make before the service. This transparency helps set realistic expectations and ensures both parties agree on what the service will entail, reducing misunderstandings and fostering a smooth process.

Reputable references and strong communication are key indicators of a reliable pest control provider. Homeowners are encouraged to request references or reviews from previous clients in the local area to gauge the quality of service. Additionally, effective communication-such as prompt responses to inquiries and clear explanations of treatment options-can help homeowners feel confident in their choice. It’s important to work with local pros who prioritize transparent, ongoing communication to ensure the extermination process meets expectations.

Get a Black Ant Extermination Quote

Property owners in Keller, TX use Black Ant Extermination services for practical projects around their homes and businesses. The sections below highlight everyday jobs and straightforward project options.

Black Ant Extermination
Black Ant Extermination

Black ant extermination services are commonly sought by property owners in Keller, TX, dealing with persistent ant invasions. These insects can invade homes and businesses, especially during warmer months, leading to discomfort and potential property damage. Local service providers are often contacted to assess the extent of an ant problem, identify the species involved, and implement targeted treatment solutions to eliminate nests and prevent future infestations.

Property owners may also look for black ant extermination when noticing increased activity around their property or after noticing ants inside their homes. In some cases, ants may be attracted to food sources, moisture, or structural entry points, prompting a need for professional intervention. Local pest control providers offer inspections and treatment options designed to address these common issues efficiently and effectively.

Get a Black Ant Extermination Quote

Why are black ants attracted to my home? Black ants are often drawn to food sources, water, and shelter inside or around properties, leading them indoors in search of these essentials.

What are common signs of a black ant infestation? Signs include visible ant trails, small piles of soil or debris near entry points, and finding ants in kitchens or bathrooms.

How do professionals typically eliminate black ant problems? Local pest control providers may use targeted baits, insecticides, and exclusion techniques to effectively manage black ant infestations.

Are black ants dangerous or harmful? Black ants are generally not harmful to humans but can contaminate food and cause nuisance issues indoors.

How can I prevent future black ant infestations? Keeping food stored properly, sealing entry points, and maintaining clean surroundings can help reduce the likelihood of black ant problems.

Black Ant Extermination Solutions - Local service providers offer specialized treatments to eliminate black ants from residential and commercial properties.

Inspection and Identification - Pros can assess infested areas to determine the extent of the black ant problem and recommend effective removal strategies.

Preventive Measures - Experts can advise on sealing entry points and removing attractants to reduce future ant activity.

Ongoing Monitoring and Support - Service providers can establish regular inspections to ensure black ants do not return and to maintain pest-free environments.

Black Ant Extermination

Considering Black Ant Extermination for a property in Keller, TX? The sections above highlight common project types, practical options, and details that often shape the scope of work.

When you are ready, use the quote form to share a few details about your project. Local pros can review the basics and respond with options that match what you have in mind.

Get a Black Ant Extermination Quote

Black Ant Extermination Quotes

Our Trusted Partners
Cantu Pest Control
Orkin
Hawx Pest Control