Local Service Overview

Get Ants Extermination Service in Burleson, TX

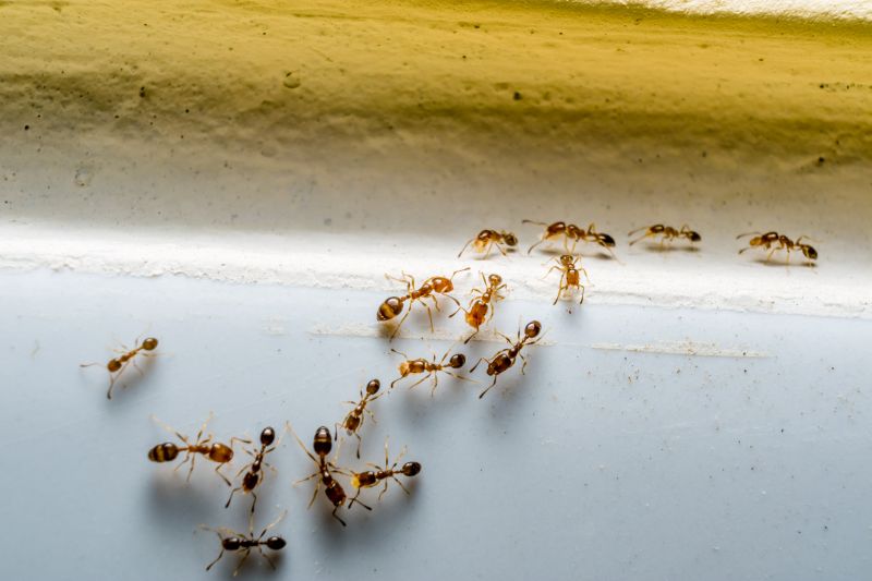
Ants extermination services for property owners in Burleson, TX and nearby areas address ant infestations, prevent future outbreaks, and handle residential and commercial pest control projects.

Burleson, TX

Ants extermination services provide property owners in Burleson, TX with an effective solution to manage and eliminate ant infestations. These services help maintain a comfortable living environment by preventing the nuisance and potential damage caused by ants invading homes and businesses. By addressing ant problems promptly, property owners can enjoy a safer and more functional space, free from the disruptions that pests can create.

Engaging professional extermination services also offers benefits related to durability and reduced maintenance. Proper treatment helps protect structures from ant-related damage and minimizes the need for repeated interventions. Additionally, a well-maintained property with effective pest control enhances curb appeal, contributing to a more attractive and inviting exterior. Contacting local experts ensures that pest issues are handled efficiently, supporting the overall safety and appearance of the property.

Get Ants Extermination Service Quotes

  • Ants Extermination - needed when ants invade kitchens, pantries, or other indoor spaces in residential or commercial properties.
  • Ants Extermination - required when persistent ant colonies are found outdoors around the foundation or landscaping.
  • Ants Extermination - necessary in areas with recurring ant activity despite initial treatments.
  • Ants Extermination - sought after when ant trails or nests are visible in attics, basements, or wall voids.
  • Ants Extermination - essential for preventing future infestations in regions prone to ant problems.

Get Ants Extermination Service Quotes

Ants Extermination Service
Ants Extermination Service
Ants Extermination Service

Ants extermination services involve identifying and eliminating ant infestations within residential, commercial, or industrial properties. Professionals use a combination of inspection techniques to locate ant colonies and entry points, followed by targeted treatments to eradicate the pests. These services often include the application of pest control products designed to eliminate existing ants and prevent future invasions. The goal is to create an environment that discourages ants from returning, ensuring the property remains free from these common household pests.

Ant infestations can cause various problems for property owners, including damage to structures, contamination of food supplies, and general nuisance. Certain ant species, such as carpenter ants, are known to cause structural damage by tunneling into wood, while others may invade kitchens and pantries, contaminating food items. Additionally, some ants can trigger allergic reactions or bites, posing health concerns for residents or employees. Professional extermination services help address these issues efficiently, reducing the risk of ongoing problems and potential property damage.

Properties that typically utilize ant extermination services include single-family homes, apartment complexes, restaurants, and retail stores. Homes often seek treatment to eliminate ants from kitchens, basements, or gardens, especially during warmer months when ant activity increases. Commercial properties, such as food establishments, require regular pest management to maintain hygiene standards and comply with health regulations. Warehouses and industrial facilities may also need targeted treatments to prevent ants from damaging stored goods or infrastructure. Overall, any property experiencing persistent ant issues can benefit from the expertise of pest control professionals.

Engaging with local ant extermination service providers can provide tailored solutions for specific property needs. These professionals conduct thorough inspections to determine the extent of the infestation and recommend appropriate treatment plans. They may employ various methods, such as baiting, residual sprays, or dusts, to effectively eliminate ants and reduce the likelihood of recurrence. Contacting experienced pest control providers ensures that ant problems are addressed efficiently, helping property owners maintain a pest-free environment and protect their investments.

The overview below groups typical Ants Extermination Service projects into broad ranges so you can see how smaller, mid-sized, and larger jobs often compare in Burleson, TX.

In many markets, a large share of routine jobs stays in the lower and middle ranges, while only a smaller percentage of projects moves into the highest bands when the work is more complex or site conditions are harder than average.

Initial Inspection - The cost for an ant inspection typically ranges from $50 to $150, depending on the property's size and complexity. Some providers may charge a flat fee or include it with treatment services.

Perimeter Treatment - Applying ant barrier treatments generally costs between $100 and $300 for residential properties. Larger homes or extensive infestations may increase the price.

Spot Treatments - Targeted ant treatments can range from $50 to $200 per visit, depending on the severity of the infestation and the treatment method used.

Ongoing Service Plans - Monthly or quarterly ant control plans often cost between $30 and $70 per visit, with prices varying based on property size and service frequency.

Actual totals will depend on details like access to the work area, the scope of the project, and the materials selected, so use these as general starting points rather than exact figures.

Get an Ants Extermination Service Quote

Ants Extermination - Local service providers offer targeted ant extermination solutions for residential and commercial properties in Burleson, TX and nearby areas.

Ants Prevention - Pros can implement preventative measures to reduce the likelihood of ant infestations in homes and businesses.

Ants Inspection - Professional inspections help identify ant activity and determine the extent of an infestation for effective treatment planning.

Ants Baiting - Baiting services involve placing ant baits to eliminate colonies efficiently and reduce ant populations.

Ants Barrier Treatments - Barrier treatments create a protective perimeter around properties to keep ants from entering indoor spaces.

Ants Removal - Experts provide removal services to eliminate existing ant colonies and restore pest-free conditions.

Ants Extermination Service

When comparing ant extermination services in Burleson, TX, experience is an important factor to consider. Local professionals often have extensive knowledge of the specific ant species common in the area and understand the most effective methods for eradication. Reviewing a contractor’s background can provide insight into their familiarity with local pest issues, which can contribute to a more efficient and targeted approach. It’s beneficial to seek out references or reviews from previous clients within the community to gauge a contractor’s history of successful service and reliability.

Clear communication about service expectations is essential when selecting an ant extermination provider. Reputable professionals typically offer detailed information about their treatment plans, what homeowners can expect during and after the service, and any necessary preparations. Ensuring that the contractor is transparent about their methods and responsive to questions can help set proper expectations and foster confidence in the service process. Homeowners should feel comfortable discussing concerns and obtaining clarification on the scope of work before proceeding.

Reputable references and reviews are valuable tools for assessing local pros’ credibility. Many service providers maintain a history of satisfied clients and positive feedback, which can be verified through online reviews or community recommendations. Consistent, professional communication from the contractor throughout the process also indicates a commitment to customer service. While the site introduces local options, it is important to remember that it functions solely as a connecting resource, not the service provider, emphasizing the importance of independently verifying each contractor’s reputation and communication practices.

Get an Ants Extermination Service Quote

Property owners in Burleson, TX use Ants Extermination Service services for practical projects around their homes and businesses. The sections below highlight everyday jobs and straightforward project options.

Ants Extermination Service
Ants Extermination Service

Ants extermination services are commonly sought by property owners in Burleson, TX, who are dealing with persistent ant infestations in their homes or businesses. These unwanted pests can invade kitchens, pantry areas, and other parts of a property, creating nuisances and potential health concerns. Local service providers can assist with identifying the source of the ant problem, implementing targeted treatment solutions, and helping to prevent future invasions.

Property owners might also seek ants extermination services after noticing increased ant activity during warmer months or following seasonal changes. In many cases, ants can quickly establish colonies that are difficult to eliminate without professional assistance. Engaging experienced exterminators ensures that the infestation is addressed effectively, reducing the likelihood of recurring issues and maintaining a pest-free environment.

Get an Ants Extermination Service Quote

How do ant extermination services work? Ant extermination services typically involve inspecting the property, identifying ant species and entry points, and applying targeted treatments to eliminate colonies and prevent future infestations.

Are these services safe for pets and children? Many ant extermination treatments are formulated to be safe for homes with pets and children, but it is recommended to consult with the local service provider about specific products used.

How long does an ant extermination treatment last? The duration of effectiveness varies depending on the treatment method and extent of the infestation; a local professional can provide guidance tailored to the situation.

Can ant extermination services prevent future infestations? Yes, professional treatments often include preventative measures to reduce the likelihood of ants returning to the property.

What should I do before the extermination appointment? It is advisable to clear the area around ant entry points and follow any specific instructions provided by the local service provider for optimal results.

Ants Extermination Solutions - Local service providers offer targeted treatments to eliminate ant infestations effectively.

Inspection and Identification - Professionals can assess property conditions to identify ant entry points and nesting areas.

Preventive Measures - Service providers can recommend and implement strategies to reduce future ant activity around the property.

Ongoing Monitoring - Local pros can establish maintenance plans to monitor and manage ant populations over time.

Ants Extermination Service

Considering Ants Extermination Service for a property in Burleson, TX? The sections above highlight common project types, practical options, and details that often shape the scope of work.

When you are ready, use the quote form to share a few details about your project. Local pros can review the basics and respond with options that match what you have in mind.

Get an Ants Extermination Service Quote

Ants Extermination Quotes

Our Trusted Partners
Cantu Pest Control
Orkin
Hawx Pest Control