Local Service Overview

Get Black Ant Extermination in Fort Worth, TX

Black Ant Extermination services for Fort Worth, TX, and nearby areas address ant infestations, prevent future invasions, and handle residential and commercial pest control projects.

Fort Worth, TX

Black ant extermination services are a practical choice for property owners in Fort Worth, TX seeking to maintain a comfortable and safe environment. Ant invasions can disrupt daily routines and compromise the usability of indoor and outdoor spaces, making prompt and effective removal essential. Professional extermination helps ensure that homes and businesses remain functional and free from unwanted pests, reducing the risk of ant nests causing structural damage or contaminating food supplies.

Choosing expert pest control providers offers benefits such as enhanced durability of pest-free spaces and reduced ongoing maintenance. Properly managed ant infestations contribute to improved curb appeal by preventing unsightly nests and trails around the property. Additionally, professional services often lead to long-lasting results, helping property owners enjoy a more inviting and secure environment with less worry about future invasions.

Get Black Ant Extermination Quotes

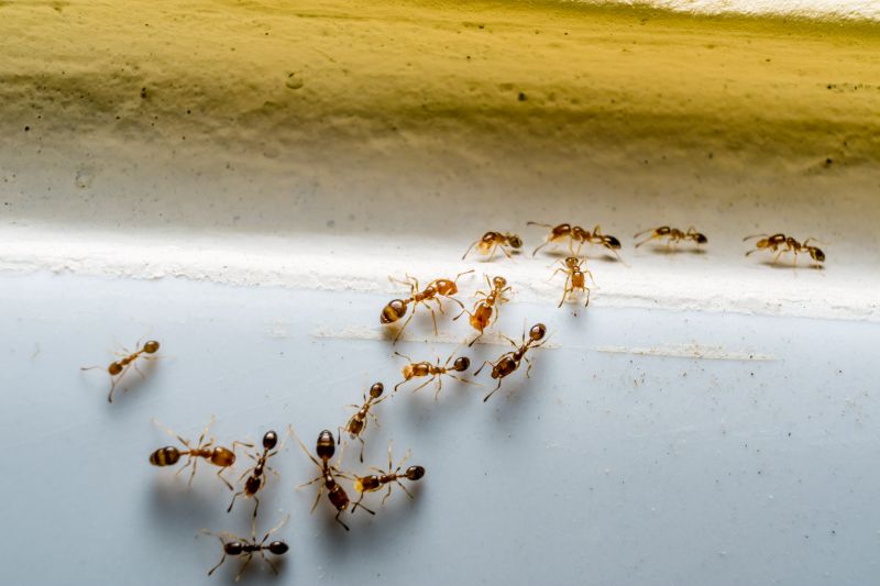
  • Black Ant Extermination - A service needed when black ants invade kitchens, pantries, or outdoor areas in residential or commercial properties.
  • Black Ant Extermination - Required when black ants form large colonies that threaten the comfort or hygiene of homes and businesses.
  • Black Ant Extermination - Necessary in neighborhoods near parks or wooded areas where black ants tend to nest and forage.
  • Black Ant Extermination - Sought after when black ant activity persists despite basic cleaning and preventive measures.
  • Black Ant Extermination - Important for property owners in areas with high moisture levels that attract black ant colonies.

Get Black Ant Extermination Quotes

Black Ant Extermination
Black Ant Extermination
Black Ant Extermination

Black ant extermination services focus on identifying and eliminating black ant infestations within residential, commercial, and industrial properties. These services typically involve thorough inspections to locate ant colonies and entry points, followed by targeted treatments using specialized products. Exterminators may apply bait stations, dusts, or liquid insecticides designed to control and eradicate black ant populations effectively. The goal is to reduce ant activity and prevent future invasions, helping property owners maintain a pest-free environment.

Black ant problems can cause significant nuisance and inconvenience, especially when colonies establish themselves indoors or around structures. These pests are known to invade kitchens, pantries, and other areas where food is stored, contaminating supplies and creating hygiene concerns. In some cases, black ants may also damage property by nesting in wall voids, insulation, or wooden structures. Professional extermination services help address these issues by removing the source of the infestation and implementing preventative measures to discourage re-entry.

Properties that commonly utilize black ant extermination services include single-family homes, apartment complexes, restaurants, and retail stores. Residential properties often seek assistance when black ants become a persistent problem in kitchens or around entry points. Commercial establishments, especially those handling food, may require regular pest control to meet health and safety standards. Additionally, industrial facilities with storage areas or manufacturing zones may need targeted treatments to prevent black ant populations from affecting operations or product integrity.

Engaging local pest control providers for black ant extermination can offer effective solutions tailored to each property’s specific needs. These professionals typically assess the extent of the infestation, recommend appropriate treatment options, and provide ongoing maintenance plans if necessary. By addressing black ant issues promptly and professionally, property owners can reduce the risk of damage, contamination, and ongoing pest activity, ensuring a cleaner and more comfortable environment.

The overview below groups typical Black Ant Extermination projects into broad ranges so you can see how smaller, mid-sized, and larger jobs often compare in Fort Worth, TX.

In many markets, a large share of routine jobs stays in the lower and middle ranges, while only a smaller percentage of projects moves into the highest bands when the work is more complex or site conditions are harder than average.

Initial Inspection and Treatment - The cost for a basic black ant inspection and initial treatment typically ranges from $150 to $300. This usually covers a thorough assessment and targeted application to affected areas.

Ongoing Pest Control Plans - Monthly or quarterly service plans for black ant extermination can cost between $50 and $100 per visit. These plans often include regular treatments and inspections to prevent future infestations.

Per-Infestation Service - For a single black ant infestation, services may cost around $200 to $400, depending on the severity and size of the affected area. This fee generally covers comprehensive treatment to eliminate the colony.

Additional Treatment Options - Extra services such as baiting systems or barrier treatments can add $100 to $250 to the overall cost. These options are used to enhance long-term control and prevent re-infestation.

Actual totals will depend on details like access to the work area, the scope of the project, and the materials selected, so use these as general starting points rather than exact figures.

Get a Black Ant Extermination Quote

Black Ant Extermination services are essential for eliminating infestations in residential and commercial properties, helping to restore safety and comfort. Local pest control providers offer targeted treatments to effectively remove black ants and prevent future invasions.

Black Ant Extermination solutions are tailored to address specific infestation levels, ensuring thorough removal and ongoing protection. Experienced contractors use proven methods to handle both minor and severe black ant problems.

Black Ant Extermination services often include inspection and identification to determine the extent of the problem before applying appropriate treatment strategies. Local pros can advise on the most effective approaches for different property types.

Black Ant Extermination professionals utilize specialized products and techniques to eliminate black ant colonies efficiently. They also provide recommendations to reduce attractants and minimize future risks.

Black Ant Extermination services may involve ongoing monitoring and follow-up treatments to ensure complete eradication and long-term control. Local providers can develop customized plans based on property needs.

Black Ant Extermination is a common service sought in areas prone to ant activity, with local specialists experienced in managing infestations in various environments. Contacting a professional can help address black ant issues promptly and effectively.

Black Ant Extermination

When selecting a professional for black ant extermination, it is important to consider their experience in handling ant infestations. Experienced service providers typically have a history of successfully managing similar issues in homes within the Fort Worth area, which can indicate familiarity with local ant behavior and effective treatment methods. Homeowners may want to inquire about the duration of a contractor’s work in pest control and their familiarity with black ant species common to the region to ensure they are engaging with knowledgeable professionals.

Clear communication and well-defined written expectations are essential when working with pest control providers. Reputable local pros often provide detailed service descriptions, including the scope of work, methods used, and any preparations needed before treatment. Understanding these details upfront helps homeowners set realistic expectations and facilitates a smoother service experience. It is advisable to seek service providers who are transparent about their processes and willing to address any questions or concerns before the work begins.

Reputable references and strong reputations within the community can serve as indicators of a reliable black ant extermination service. Homeowners should consider seeking recommendations from neighbors or reading online reviews to gauge a contractor’s track record. Additionally, service providers who maintain open lines of communication and promptly respond to inquiries tend to foster better client relationships. Since this source introduces local options rather than performing the work directly, it is recommended to contact multiple providers to compare their experience, communication style, and reputation before making a selection.

Get a Black Ant Extermination Quote

Property owners in Fort Worth, TX use Black Ant Extermination services for practical projects around their homes and businesses. The sections below highlight everyday jobs and straightforward project options.

Black Ant Extermination
Black Ant Extermination

Black ant extermination services are often sought by property owners in Fort Worth, TX, dealing with persistent ant infestations that threaten the comfort and hygiene of their homes or businesses. Common reasons for seeking professional help include discovering large ant colonies in kitchens, basements, or outdoor areas, which can be difficult to eliminate with over-the-counter products. Additionally, property owners may want to prevent future invasions, especially during warmer months when ants become more active and seek shelter indoors.

In many cases, local property owners turn to extermination specialists to address ant problems caused by conditions such as moisture buildup, accessible food sources, or structural vulnerabilities. These professionals can assess the property, identify the ant species involved, and implement targeted treatment plans to effectively control the infestation. Engaging experienced service providers can help maintain a pest-free environment and reduce the likelihood of recurring issues.

Get a Black Ant Extermination Quote

Why are black ants attracted to my home? Black ants are drawn to food sources, moisture, and shelter, making homes and kitchens common areas for infestation.

How can I identify a black ant infestation? Signs include visible ants crawling indoors, trails leading to food or water sources, and small piles of dirt or debris near entry points.

What methods do extermination services use to eliminate black ants? Local pest control professionals typically use targeted treatments such as baits, sprays, and barrier applications to control black ant populations.

Are black ants likely to return after treatment? Proper treatment by local pros aims to reduce the chances of return, but ongoing prevention measures may be recommended to maintain control.

How can I prevent future black ant infestations? Keeping food sealed, fixing leaks, sealing entry points, and maintaining cleanliness can help deter black ants from returning to a property.

Black Ant Extermination Methods - Local pest control professionals can implement effective strategies to eliminate black ants from residential and commercial properties.

Preventive Black Ant Control - Service providers can advise on and apply treatments to prevent future ant infestations in affected areas.

Black Ant Infestation Inspection - Experts can assess property conditions to identify ant entry points and nesting sites for targeted removal.

Black Ant Extermination Cost Factors - Costs may vary based on the extent of the infestation and the treatment methods recommended by local specialists.

Black Ant Extermination

Considering Black Ant Extermination for a property in Fort Worth, TX? The sections above highlight common project types, practical options, and details that often shape the scope of work.

When you are ready, use the quote form to share a few details about your project. Local pros can review the basics and respond with options that match what you have in mind.

Get a Black Ant Extermination Quote

Black Ant Extermination Quotes

Our Trusted Partners
Cantu Pest Control
Orkin
Hawx Pest Control